Без рубрики
Les Mavericks affrontent les Raptors : Revue du Match
Introduction Le match opposant les Mavericks de Dallas aux Raptors de Toronto a été vivement attendu par les fans de la NBA. ...L’Importance de la Préservation des Vivants
Introduction La préservation des vivants est un sujet crucial qui concerne à la fois notre environnement et notre avenir. Avec l’accélération de ...Anthony Edwards : Le futur de la NBA sur la scène mondiale
Introduction Anthony Edwards, jeune prodige de la NBA, attire de plus en plus l’attention des amateurs de basketball avec ses performances brillantes ...Le Conflit Russie Ukraine : État des Lieux en 2023
Introduction Le conflit entre la Russie et l’Ukraine, qui a débuté en 2014 avec l’annexion de la Crimée par la Russie, reste ...Les Cavaliers affrontent les Bucks dans un match épique
Contexte de la rencontre Le dernier match entre les Cleveland Cavaliers et les Milwaukee Bucks a captivé les fans de la NBA, ...Austin Reaves : L’Étoile Montante de la NBA
Introduction Austin Reaves est devenu l’une des figures montantes de la NBA, attirant l’attention grâce à ses performances exceptionnelles sur le terrain. ...L’Ouragan Melissa et son Impact sur la Jamaïque
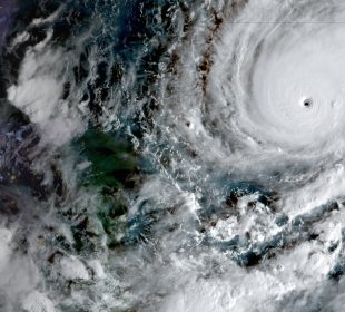
Introduction L’ouragan Melissa, un dangereux phénomène climatique, a récemment touché la Jamaïque, provoquant des préjudices significatifs à la population et aux infrastructures. ...Classement F1 2023: Analyse et Mise à Jour
Introduction au Classement F1 2023 Le classement de la Formule 1 (F1) est un indicateur essentiel de la performance des équipes et ...L’importance de Yamal dans l’approvisionnement énergétique
Introduction Le projet Yamal est devenu un des plus importants axes d’approvisionnement en gaz naturel de l’Europe, surtout dans le contexte géopolitique ...L’héritage de Jean Michel Trogneux dans le monde du chocolat
Introduction Jean Michel Trogneux est une figure emblématique dans le domaine de la chocolaterie en France. Avec une réputation fondée sur la ...












